HOME



BUILDING SPECS
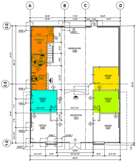
SIZE
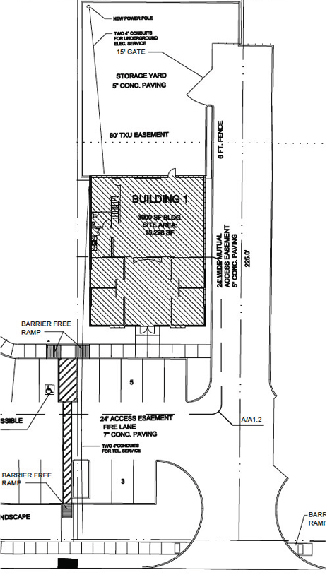
First Level: 3,000 square feet (50’x60’)
Second Level: 250 square feet

LOCATION
Located generally near HWY 190 (George Bush) &
the Dallas North Tollway
Located specifically on Hebron (Park Blvd) West of Marsh

YEAR BUILT: 2009

PARKING
8 designated in front / 10 neighboring overflow
10 secure within fenced perimeter

BUILDING ACCESS
2 entrances with alarm keypads

FLOORS
First level stained concrete
Second level carpet

BUILDING FINISH: Class “A”

FURNITURE AVAILABLE
Custom reception desk
Stainless steel refrigerator & freezer
Warehouse modular cabinetry and work surfaces
Stainless Storeroom racks and organizational storage